物件を探す
花園1丁目26 駐車場

花園1丁目26 駐車場

おすすめ
物件NO 0432
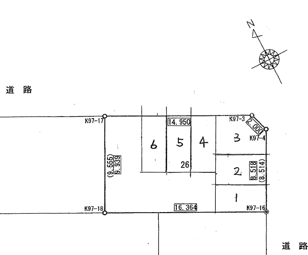
所 在 地 千歳市花園1丁目26番
賃   料 7,150円(税込)/1台
敷   金 なし
礼   金 なし
管 理 費 なし
仲介手数料 7,150円(税込)

物件紹介

●千歳駅まで徒歩約10分!交通公園の隣にある駐車場です。
●舗装はされていませんが、その分相場よりお安くなっております。
※除雪・排雪、除草等の維持管理については、借主各自で行っていただきます。

物件概要

契約期間
1年間
用途
駐車場

アクセス

インスタグラム

こんにちは𖧷𖧷𖧷
千歳テナントステーションです😊
⁡
平素より 千歳テナントステーションをご愛顧賜り、厚く御礼申し上げます。
年末年始の営業についてお知らせいたします。
⁡
皆様にはご不便とご迷惑をお掛けしますが、何卒ご理解とご協力をお願いいたします。
⁡
【年末年始休業】
令和7年12月30日(火曜日)~令和8年1月5日(月曜日)休業
※1月6日(火曜日)9時より通常営業いたします。
⁡
——————————————————
⁡
@chitose_tenant
千歳テナントステーションでは新着物件のご紹介、管理物件の新店舗オープンのお知らせ等を行っています💡
千歳市で企業・新規出店を検討されているなら千歳テナントステーションにご相談ください!!
業務に合った物件探しから開業までワンストップでお引き受けできます。
⁡
厨房機器・給排気・消防設備・冷暖房までお店の規模や業態に応じて提案いたします!!
⁡
フジ商産株式会社/千歳テナントステーション
⁡
所在地:千歳市高台4丁目4-17
電話番号:0123-22-5319(代表)
#千歳市
#チトセテナントステーション
#千歳テナントステーション
#千歳市不動産
#千歳市テナント
#店舗探し
#事務所探し
#テナント探し
#内装工事
#起業したい
#MiLABO
#ミラボ
⁡

関連リンク